https://news.day.az/world/603179.html
Супертайфун оставил без света более миллиона жителей Тайваня - ФОТО - ВИДЕО
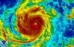
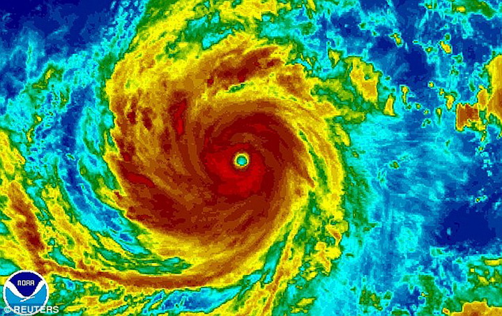
Супертайфун "Соуделор", признанный самым сильным тропическим циклоном в 2015 году, обрушился в субботу на Тайвань.
Об этом, как передает Day.Az со ссылкой на "Российскую газету", сообщает РИА Новости.
Уже известно о трех жертвах стихии, один человек пропал без вести, еще 27 человек получили травмы. Без электричества остались более миллиона местных жителей.
Ранее власти Тайваня и КНР эвакуировали свыше семи тысяч человек из опасных областей, куда в субботу должен обрушиться тайфун. Десятки авиарейсов отменены или задержаны, планы более 30 тысяч человек нарушены из-за перебоев в работе железнодорожного транспорта.
Тайфун "Соуделор" прошел по территории острова Сайпан архипелага Марианских островов 2 августа, перевернув множество автомобилей и повалив деревья, а также столбы с телефонными и электрическими линиями. Около 350 человек оказались в убежищах.
Нажмите на фотографии для увеличения:











Фото: Daily Mail
Нажмите на видео для просмотра:

Супертайфун оставил без света более миллиона жителей Тайваня - ФОТО - ВИДЕО
Об этом, как передает Day.Az со ссылкой на "Российскую газету", сообщает РИА Новости.
Уже известно о трех жертвах стихии, один человек пропал без вести, еще 27 человек получили травмы. Без электричества остались более миллиона местных жителей.
Ранее власти Тайваня и КНР эвакуировали свыше семи тысяч человек из опасных областей, куда в субботу должен обрушиться тайфун. Десятки авиарейсов отменены или задержаны, планы более 30 тысяч человек нарушены из-за перебоев в работе железнодорожного транспорта.
Тайфун "Соуделор" прошел по территории острова Сайпан архипелага Марианских островов 2 августа, перевернув множество автомобилей и повалив деревья, а также столбы с телефонными и электрическими линиями. Около 350 человек оказались в убежищах.
Нажмите на фотографии для увеличения:











Фото: Daily Mail
Нажмите на видео для просмотра:

Присоединяйтесь к нам в мессенджерах:
Заметили ошибку в тексте? Выберите текст и сообщите нам, нажав Ctrl + Enter на клавиатуре